Properties

Lots And Land For Sale

0 Sqft - 13930 Loquat Court, SARATOGA, California 95070

QR Code
Property Description

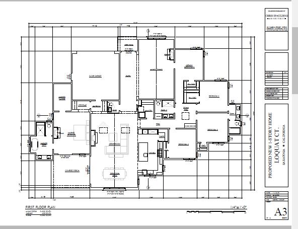
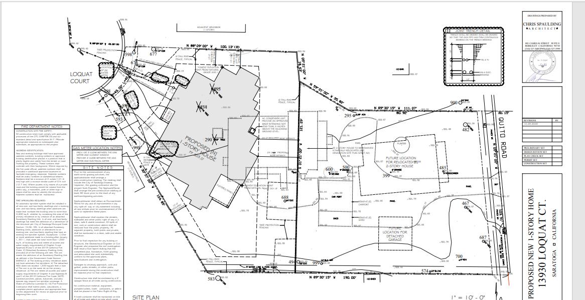
2 lot approved subdivision in highly sought after Saratoga neighborhood. The 2 lots back up to each other so perfect for 2 families that want to live next to each other or use one of the lots as an in-law quarters with separate entrance and a shared backyard fence. Buy one or both lots. Both lots have approved house plans and permits are ready to be issued by City of Saratoga. This is a “shovel ready” project! If your clients prefers, owner can built a turn key home as well. The $1,898,000 price is just for one lot and does not include building the house.

Basic Details
Property Type : Lots And Land
Listing Type : For Sale
Listing ID : 40962285
Price : $1,898,000
Bedrooms : 0
Bathrooms : 0
Half Bathrooms : 0
Square Footage : 0 Sqft
Year Built : 0
Lot Area : 13,194 Sqft
Address Map
Country : US
State : CA
County : Santa Clara
City : SARATOGA
Zipcode : 95070
Street : Loquat Court
Street Number : 13930
Floor Number : 0
Longitude : W122° 0' 21.7''
Latitude : N37° 15' 59.2''
MLS Addon
Office Name : Coldwell Banker Realty
Building Type : Lots And Land
Area : All Other Counties/States
Address : 13930 Loquat Court
Cross Street : Allendale
LA1User Code : MLL307375
LA1Agent First Name : Gregory
LA1Agent Last Name : Howell
Status Category : Sold
Zoning : R1
List $/SqFt : $0
Apx Lot Sq Ft : 0 Sqft
Annual Taxes : $0
Total Deposits : $0
LOT DESCRIPTION : Level
WATER/SEWER : Water - Public, Sewer System - Public
Bus Sq Ft of Bldg : 0 Sqft
1st Loan Balance : $0
2nd Loan Balance : $0
Tot Other Loans : $0
Ann Act Gross Inc : $0
Gross Oper Actual Inc : $0
Special Information : None
Original Price : $1,898,000
Sold Price : $1,850,000
Previous Price : $0
Sale $/SqFt : $0
Lots And Land For Sale
  • Listing ID : 40962285
  • Bedrooms : 0
  • Bathrooms : 0
  • Square Footage : 0 Sqft
$1,898,000
Agent info
Contact Agent